Could the Next Hurricane Be So Powerful It Needs a Whole New Category?

As monster storms grow stronger, scientists say the hurricane scale may no longer capture their true danger.

©Image license via Wikimedia Commons

For decades, the Saffir–Simpson scale has defined hurricane strength, with Category 5 representing the most extreme storms on Earth. But researchers now say that may no longer be enough. With ocean temperatures rising and storms like Hurricane Melissa reaching record-shattering wind speeds, experts are debating whether it’s time to add a Category 6. Such a move would acknowledge a sobering reality: today’s strongest hurricanes are surpassing the limits of what the current scale was designed to measure. The question isn’t just scientific — it’s about how we prepare for a future of ever-more powerful storms.

1. The Scale That Defines Every Hurricane

©Image license via Canva

Since the 1970s, scientists have used the Saffir–Simpson Hurricane Wind Scale to classify storms from Category 1 to Category 5. Each step represents an increase in sustained wind speed and destructive potential.

But the system was built for a world that no longer exists. As ocean temperatures climb and storms grow more intense, meteorologists are finding that some modern hurricanes now exceed even the highest level of the scale. The result: “Category 5” may no longer convey just how catastrophic the world’s strongest storms have become.

2. When Category 5 No Longer Feels Extreme

©Image license via Canva

Category 5 once signified unimaginable destruction — sustained winds of at least 157 miles per hour. Yet recent storms have blown past that threshold with ease. Cyclones in the Pacific and Indian Oceans, and hurricanes like Patricia, Dorian, and Melissa, have reached wind speeds near 190 mph or higher.

At that point, meteorologists say the difference between 170 and 195 mph winds isn’t academic — it’s life or death. Entire neighborhoods can be erased in minutes, and even reinforced buildings can crumble under sustained pressure. “Category 5” may now understate that risk.

3. How Hurricanes Are Getting Stronger

©Image license via Flickr/Stuart Rankin

The driving force behind these record-breaking storms is warmer ocean water. Hurricanes draw their energy from heat, and as global sea-surface temperatures rise, storms can grow faster, bigger, and more intense than ever before.

Scientists also note that today’s storms hold more moisture and maintain strength longer after landfall. Combined with slower movement — a trend linked to shifting wind patterns — these factors amplify destruction far beyond coastal zones. It’s not just that hurricanes are stronger; they’re also behaving in ways forecasters never used to see.

4. The Storm That Sparked the Debate

©Image license via Flickr/©Image license via Flickr/NOAA National Severe Storms Laboratory

Hurricane Melissa, referenced in the Scientific American report, reignited the conversation about whether a Category 6 is overdue. At its peak, Melissa’s winds exceeded 192 miles per hour — stronger than almost any storm ever recorded.

Meteorologists studying the storm say its intensity exposed the limitations of the current scale. While officially listed as a Category 5, Melissa’s damage potential was in a class of its own. If the scale can’t differentiate between a 160-mph and a 190-mph hurricane, experts argue, then it’s failing to communicate real danger to the public.

5. Why There’s No Category 6 — Yet

©Image license via Canva

The original Saffir–Simpson scale was intentionally capped at Category 5 because anything beyond was assumed to cause “catastrophic damage.” The logic was simple: nothing stronger could exist, and if it did, the destruction would be total.

But climate reality has outgrown that assumption. The National Hurricane Center has resisted expanding the scale, arguing that wind speed alone can’t capture a storm’s full impact. Yet many scientists now believe that the upper limit should evolve to reflect modern extremes — especially as new storms consistently break old records.

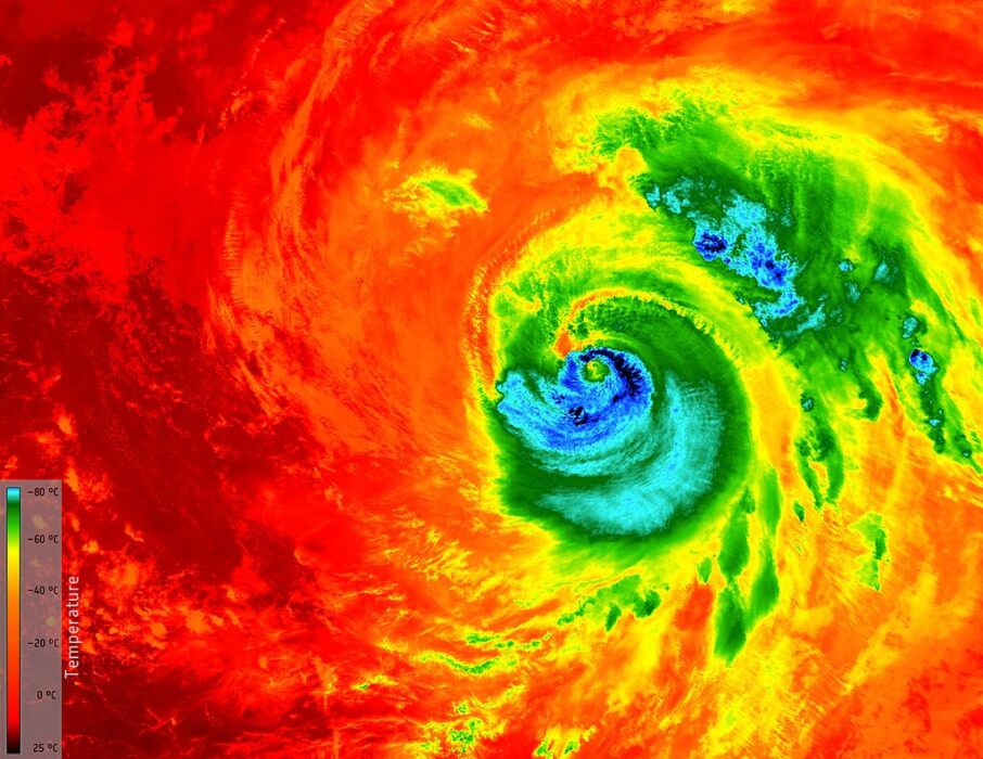
6. What a Category 6 Hurricane Would Look Like

©Image license via Wikimedia Commons

If a Category 6 existed, it would likely start at sustained winds of 192 mph and higher — speeds capable of flattening nearly all structures, snapping steel transmission towers, and erasing entire coastal communities.

Engineers estimate that the pressure and wind shear generated by such storms could tear asphalt from roads and lift vehicles hundreds of feet. Flooding from storm surges would reach levels never before recorded. Simply put, a Category 6 hurricane would be beyond anything humanity has ever faced — the definition of total devastation.

7. Why Meteorologists Are Divided

©Image license via StockCake

Not everyone agrees that adding a new category is the right move. Some meteorologists argue that expanding the scale risks confusing the public or overemphasizing wind speeds, when flooding and storm surge often cause the most deaths.

Others counter that communication is precisely the point — the public needs a clearer understanding of the unprecedented storms forming today. They say a Category 6 wouldn’t just be symbolic; it would signal to governments and coastal residents that the rules of hurricane behavior have fundamentally changed.

8. The Global Context: Super Typhoons and Cyclones

©Image license via Wikimedia Commons

While the Atlantic has seen its share of devastating hurricanes, the world’s strongest storms often occur elsewhere. Super Typhoon Haiyan in 2013 and Cyclone Monica in 2006 both reached wind speeds that would qualify as Category 6 if such a label existed.

These global examples show that ultra-intense storms are no longer regional anomalies — they’re part of a worldwide trend. From the western Pacific to the Indian Ocean, “mega-storms” are becoming more common, suggesting that the planet’s climate system is entering a new and dangerous phase.

9. The Science of Measuring Destruction

©Image license via Canva

Wind speed alone doesn’t define a hurricane’s threat. Scientists also analyze storm surge, rainfall, and forward speed to assess how deadly it might be. However, wind remains the most visible and easily understood metric — the one most people associate with hurricane strength.

Because of this, researchers say it’s vital that the scale remains accurate. If storms now exceed its upper limit, the system loses credibility. A new category could restore that clarity, helping forecasters communicate urgency more effectively to vulnerable coastal populations.

10. The Cost of Underestimating Future Storms

©Image license via Rawpixel

Each year, hurricanes cause billions of dollars in damage, and the costs are rising sharply. Rapid urbanization, coastal development, and stronger storms combine to make each disaster more expensive and deadly. Underestimating their potential only compounds the risk.

Experts warn that failing to update classifications — or adapt infrastructure standards — could leave communities dangerously unprepared. If future storms surpass today’s benchmarks, we’ll need better warning systems, stronger building codes, and new language to describe their power. The scale isn’t just about science; it’s about survival.

11. Preparing for a Category 6 World

©Image license via Flickr/NOAA National Severe Storms Laboratory

Whether or not the Saffir–Simpson scale officially changes, one fact is clear: hurricanes are evolving faster than our systems for measuring them. The next “Category 6” may already be forming somewhere over a record-warm ocean.

Scientists emphasize that adaptation is urgent. Strengthening coastal defenses, restoring wetlands, and improving evacuation plans are critical steps. A new classification may help people grasp the severity of what’s coming — but ultimately, the real challenge is preparing for a world where nature’s most powerful storms are only getting stronger.

Leave a Comment